売土地
詳細情報
高松市太田下町
| 物件種目 | 売地 |
| 所在地 | 高松市太田下町2172-2 |
| 沿線・駅・交通 | ことでん琴平線 太田駅 徒歩19分 |
| 小学校区 | 太田南小学校・太田中学校 |
| 価格 | 済 |
| 土地面積 | 公簿234.71㎡ |
| 私道面積 | |
| 土地権利 | 所有権 |
| 都市計画 | 非線引区域 |
| 国土法 | |
| 借地期間・地代 | |
| その他一時金 | |
| 保証金 | |
| 権利金 | |
| 地目 | 宅地 |
| 用途地域 | 一種中高 |
| 建・容率 | 60%・160% |
| 現況 | 古家有 |
| 条件等 | 更地渡し |
| 地勢 | |
| 最適用途 | 住宅用地 |
| 引渡し | 相談 |
| 接道状況詳細 | 【内訳】●東 幅3.5m 公道 ●南 幅4m 私道 位置指定有 |
| 設備 | 電気 上水道 下水道 |
| 特記事項 | 東道路側はセットバック必要 |
| 備考 | 解体更地渡し。下水道工事中(2019年8月頃完成) |
| 取引態様 | 専任媒介 |
|
|
| 物件情報へ戻る |
高松市宮脇町
| 物件種目 | 売地 |
| 所在地 | 高松市宮脇町2丁目 944-5.944-14 |
| 沿線・駅・交通 | JR高徳線 栗林公園北口駅 徒歩10分 |
| 小学校区 | 亀阜小学校・紫雲中学校 |
| 価格 | 済 |
| 坪単価 | 32.00万円 |
| 土地面積 | 公簿165.27㎡ |
| 私道面積 | |
| 土地権利 | 所有権 |
| 都市計画 | 非線引区域 |
| 国土法 | |
| 借地期間・地代 | |
| その他一時金 | |
| 保証金 | |
| 権利金 | |
| 地目 | 宅地 |
| 用途地域 | 一種中高 |
| 建・容率 | 60%・160% |
| 現況 | 更地 |
| 条件等 | |
| 地勢 | |
| 最適用途 | 住宅用地 |
| 引渡し | 相談 |
| 接道状況詳細 | 【内訳】●南西 幅3.9m 公道 |
| 設備 | 都市ガス 上水道 下水道 |
| 特記事項 | セットバック要 |
| 備考 | 北側幅員約1.2m道路あり(法外道路) |
| 取引態様 | 売主 |
|
|
| 物件情報へ戻る |
京都市上京区
| 物件種目 | 売地 |
| 所在地 | 京都市上京区藪之下町他1筆 |
| 沿線・駅・交通 | 京都市営地下鉄烏丸線 今出川駅 徒歩12分 |
| 市バス | 河原町今出川 バス停 徒歩10分 |
| 小学校区 | 京極 中学校区 上京 |
| 価格 | 済 |
| 土地面積 | 公簿165.44㎡ |
| 私道面積 | |
| 土地権利 | 所有権 |
| 都市計画 | 市街化区域 |
| 国土法 | |
| 借地期間・地代 | |
| その他一時金 | |
| 保証金 | |
| 権利金 | |
| 地目 | 宅地 |
| 用途地域 | 2種中高 |
| 建・容率 | 60%・160% |
| 現況 | 更地 |
| 条件等 | 相談 |
| 地勢 | |
| 最適用途 | 住宅用地 |
| 引渡し | 相談 |
| 接道状況詳細 | 【内訳】●西 公道 |
| 設備 | 上水道 |
| 特記事項 | セットバック要 |
| 備考 | 道路後退必要(セットバック面積…約2.56㎡) 上水道は買主側で引込要(前面道路に本管あり) 閑静な住宅用地、現在は月極駐車場 |
| 取引態様 | 専任媒介 |
|
|
| 物件情報へ戻る |
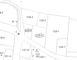
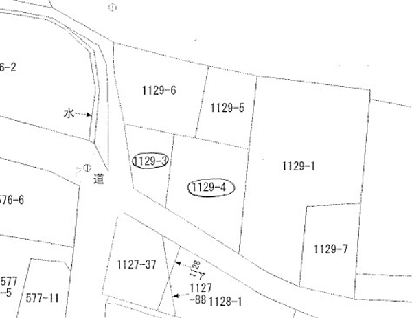
高松市高松町
| 物件種目 | 売地 |
| 所在地 | 高松市高松町1129-3.1129-4 |
| 沿線・駅・交通 | JR高徳線 屋島駅 徒歩24分 堀江バス停 徒歩15分 |
| 校区 | 古高松小学校・古高松中学校 |
| 価格 | 済 |
| 土地面積 | 公簿292.17㎡ |
| 私道面積 | |
| 土地権利 | 所有権 |
| 都市計画 | 非線引区域 |
| 国土法 | |
| 借地期間・地代 | |
| その他一時金 | |
| 保証金 | |
| 権利金 | |
| 地目 | 宅地 |
| 用途地域 | |
| 特定用途 | 一般環境保全型 |
| 建・容率 | 60%・100% |
| 現況 | 更地 |
| 条件等 | 相談 |
| 地勢 | |
| 最適用途 | 住宅用地 |
| 引渡し | 相談 |
| 接道状況詳細 | 【内訳】●南 幅4.2m 公道 接面20m |
| 設備 | 上水道 |
| 特記事項 | |
| 備考1 | 敷地南側が公道 |
| 取引態様 | 一般媒介 |
|
|
| 物件情報へ戻る |
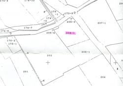
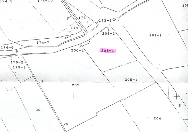
高松市屋島東町
| 物件種目 | 売地 |
| 所在地 | 高松市 屋島東町 206-1 |
| 沿線・駅・交通 | ことでん志度線 古高松駅 徒歩41分 |
| 校区 | 屋島東小学校・屋島中学校 |
| 価格 | 済 |
| 土地面積 | 公簿310.86㎡ |
| 私道面積 | |
| 土地権利 | 所有権 |
| 都市計画 | 非線引区域 |
| 国土法 | |
| 借地期間・地代 | |
| その他一時金 | |
| 保証金 | |
| 権利金 | |
| 地目 | 宅地 |
| 用途地域 | 一種低層 |
| 建・容率 | 50%・80% |
| 現況 | 古家有 |
| 条件等 | |
| 地勢 | |
| 最適用途 | |
| 引渡し | 相談 |
| 接道状況詳細 | 【内訳】●北 幅5m 公道 ●東 幅4m 公道 |
| 設備 | 上水道 下水道 |
| 特記事項 | |
| 備考 | 納屋は売主で解体します。居宅は現状渡しです。 |
| 取引態様 | 一般媒介 |
|
|
| 物件情報へ戻る |
高松市藤塚町
| 物件種目 | 売地 |
| 所在地 | 高松市藤塚町3丁目2-6 |
| 沿線・駅・交通 | JR高徳線 栗林駅 徒歩6分 |
| 校区 | 花園小学校・玉藻中学校 |
| 価格 | 済 |
| 土地面積 | 公簿156.52㎡ |
| 土地権利 | 所有権 |
| 都市計画 | 非線引区域 |
| 国土法 | |
| 借地期間・地代 | |
| その他一時金 | |
| 権利金 | |
| 保証金 | |
| 用途地域 | 近隣商業 |
| 特定用途 | |
| 地目 | 宅地 |
| 現況 | 更地 |
| 建・容率 | 80%・288% |
| 条件等 | 更地渡 |
| 最適用途 | 住宅用地 |
| 引渡し | 相談 |
| 接道状況詳細 | 角地【内訳】●北 幅2.7m 公道 ●東 幅4.8m 公道 |
| 設備 | 上水道 下水道 |
| 特記事項 | 水道管1本撤去費用必要 |
| 備考 | 北側道路中心後退必要 |
| 取引態様 | 一般媒介 |
| 報酬形態 | 分かれ |
|
|
| 物件情報へ戻る |
高松市城東町
| 物件種目 | 売地済 |
| 所在地 | 高松市 城東町 1丁目 2-4 |
| 沿線・駅・交通 | 高松琴平電鉄琴平線 片原町駅 徒歩5分 オークラホテル高松バス停 徒歩3分 |
| 校区 | 高松第一小学校・高松第一中学校 |
| 価格 | 済 |
| 坪単価 | 17.17万円 |
| 土地面積 | 公簿92.39㎡ |
| 私道面積 | |
| 土地権利 | 所有権 |
| 都市計画 | 非線引区域 |
| 国土法 | |
| 借地期間・地代 | |
| その他一時金 | |
| 保証金 | |
| 権利金 | |
| 地目 | 宅地 |
| 用途地域 | 商業 |
| 建・容率 | 80%・360% |
| 現況 | 更地 |
| 条件等 | 更地渡 |
| 地勢 | |
| 最適用途 | 住宅用地 |
| 引渡し | 相談 |
| 接道状況詳細 | 【内訳】●南 幅6m 公道 |
| 設備 | 上水道 |
| 特記事項 | |
| 備考1 | 上下水道 前面道路にあり 更地 浜街道より南側(オークラホテル高松近く) |
| 取引態様 | 売主 |
|
|
| 物件情報へ戻る |














